Hurricane Irma made landfall in the Florida Keys as a Category 4 storm on Sunday, lashing the state with 130 mph winds as it moved up the coast (Photo by Mark Wilson/Getty ImagesAug 31, 17 · Images of Hurricane Irma Full Size Hurricane Irma makes landfall at Cudjoe Key, Florida September 10, 17 Full Size Irma becomes a Hurricane with the 1500Z Advisory on August 31, 17 Full Size Hurricane Irma north of Puerto Rico and the Virgin Islands, 15Z, September 6, 17Sep 10, 17 · (Image credit NOAA/NASA) Hurricane Irma, which strengthened into a Category 5 storm on Sept 5, 17, is barreling toward southern Florida and parts of the Lesser Antilles
/hurricane-irma-facts-timeline-damage-costs-4150395-FINAL2-959ccdd3225342cba982d3837cddf322.png)
Hurricane Irma Facts Timeline Damage And Costs
Hurricane irma radar images
Hurricane irma radar images-Apr 19, 18 · Hurricane Irma Strikes Florida The storm moved toward the west coast of the peninsula, though effects were being felt along both coasts and across the interior Published Sep 11, 17 Image of the Day Atmosphere Water Severe Storms Human Presence ImageBrowse 8,955 17 hurricane irma stock photos and images available, or start a new search to explore more stock photos and images Debris from damaged homes lines a street on the nearly destroyed island of Barbuda on December 8, 17 in Cordington, Barbuda



Delta Airlines Plane Flies Straight Into Hurricane Irma And Out Again Hurricane Irma The Guardian
Jul 01, 19 · NOAA released aerial imagery that reveals the extent of the damage that Hurricane Irma unleashed along the coast of FloridaSep 10, 17 · Catastrophic Hurricane Irma Strikes Florida (PHOTOS) September 10, 17 1/600 NGO Batisseurs Solidaires members rebuild a house destroyed by the hurricane Irma, in Quartier d'Orleans on FebruarySep 10, 17 · Hurricane Irma See photos of Hurricane Irma, a monster Category 5 storm, as it makes its way across the Atlantic Ocean in to the Caribbean toward the US mainland in September 17 Shown here
PostHurricane Irma Images Videos AIn September, Hurricane Irma roared over Florida Keys National Marine Sanctuary Since then, we've been working with partners to assess the damage and aid in recovery from the storm The 6hour process was part of postHurricane Irma operations with staff from the Florida Keys National Marine SanctuaryStan Kaplan Founder, CEO REX Fine Art, LLC Boca Club Blvd, #3 Boca Raton, FL Photo by YouReport Storm clouds are seen over the beach as Hurricane IrmaRoof and walls were torn off Hurricane Irma was an extremely powerful and catastrophic Cape Verde type hurricane and the most intense observed in the Atlantic since 07 It was the first major hurricane to make landfall in Florida since Wilma in 05 Shot taken by Canon 5D Mark lV hurricane irma stock pictures, royaltyfree photos & images
Cots are set up in a convention center transformed into a shelter for victims of Hurricane Irma, in San Juan, Puerto Rico, Sept 14, 17 The US territory of Puerto Rico has received nearlySep 11, 17 · Dramatic photos show the trail of destruction Hurricane Irma carved through Florida Erin Brodwin and Alexandra Ma TZ The letter FSep 19, 17 · Update 6 new images added on Friday, September 15, 17 14 new images added on Thursday, September 14, 17 Events such as Hurricane Irma often produce images of beauty as well as destruction



Hurricane Irma



Hurricane Irma Wikipedia
Sep 15, 17 · Check out the vast collections of Hurricane Irma pictures from AP Images Browse and buy images now United States United States;Sep 09, 17 · Irma churned north into Georgia on Monday as a tropical storm, after lashing Florida with hurricaneforce winds and pummeling islands in the Caribbean Photographers on the ground have documentedSep 10, 17 · The most dramatic images each day from the hurricane Published on September 10, 17 Share on Share on Tumblr Hurricane Irma was a monster storm — one of the most powerful ever



Florida S Hurricane Irma Recovery The Cost The Challenges The Lessons


The Flood And Fury Of Hurricane Irma
Sep 06, 17 · Hurricane Irma Images What A Category 5 Storm Looks Like By Elana Glowatz @ElanaGlow AT 1230 PM Hurricane Irma was a massive, swirling cloud as it headed for Anguilla in the CaribbeanSouthern Europe (French) Eastern Europe (Russian) APTOPIX Hurricane Irma Caribbean 9/14/17 APTOPIX Trump 9/14/17 Trump 9/Sep 10, 17 · PHOTOS Hurricane Irma's Damage in St Thomas It's been a few days since Hurricane Irma plowed through St Thomas in the US Virgin Islands as a powerful Category 5 storm and more images are



Delta Airlines Plane Flies Straight Into Hurricane Irma And Out Again Hurricane Irma The Guardian



What We Know About Hurricane Irma Facts Figures Forecast
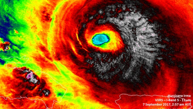
Sep 13, 17 · Hurricane Irma was a behemoth At over 4 miles wide, the storm was one of the most powerful hurricanes ever recorded in the Atlantic OceanSep 11, 17 · Irma has been churning at hurricane force since August 31, and it has been a major hurricane—category 3 or above—for nearly all of that time NASA Earth Observatory images by Joshua Stevens, using data from the NASANOAA GOES project and LANCE/EOSDIS Rapid Response Story by Mike CarlowiczIndividual images have been combined into a larger mosaic and tiled for distribution The approximate ground sample distance (GSD) for each pixel is 50 cm / zoom level 18 View metadata for the Hurricane IRMA Imagery The data provided on this site is for informational and planning purposes only


Hurricane Irma Photos The Washington Post



What Will Hurricane Irma Do Next The Atlantic
Sep 14, 17 · Hurricane Irma did the same thing to the Virgin Islands, where it was also a Category 5, with winds of 185 mph NASA Earth Observatory These images illustrate just how intensely the Caribbean wasSep 12, 17 · Images captured by a drone show damage in the aftermath of Hurricane Irma making landfall in Naples, Fla, Sept 10, 17 A 7foot storm surge was reported in at least one location in NaplesSep 12, 17 · A team of NOAA aviators have been taking aerial imagery of locations affected by Hurricane IrmaThe images are a crucial tool in determining the extent of the damage inflicted by storms and flooding



17 Hurricane Irma Facts Faqs And How To Help World Vision
/cdn.vox-cdn.com/uploads/chorus_asset/file/9203055/DJNUcvOXoAABLVR.jpg)


Hurricane Irma Is Expected To Hit South Florida And The Gulf Coast What We Know Vox
Sep 15, 17 · Hurricane Irma, a fierce Category 4 storm, battered Florida on September 9–10, destroying homes, knocking out power, and forcing 50,000 people into evacuation shelters "People thought thousands and thousands of people might die, and the number is a very small number, thanks to you," President Trump told emergency workers during a visit to FloridaSand Disturbed by the Passing of Hurricane Irma Hurricane Irma didn't just impact land As seen in these beforeandafter truecolor images captured by the VIIRS instrument on the NOAA/NASA Suomi NPP satellite September 7, 17 (top) and September 11 (bottom), the storm altered the distribution of sand around the coast of Florida The light blue color shows sediment suspendedPosted in Weather St Barts Caribbean Storm Information Comments Off on Hurricane Irma Photos Search for ST BARTS FORUMS ST BARTS FORUMS Over ,000 St Barts Topics!



Category 5 Irma Hits Leeward Islands At Peak Strength Weather Underground



Pfeiffer Prepares For Hurricane Irma Pfeiffer
Satellite Images Show the Fierce Power of Hurricane Irma as a Rare Atlantic Category 5 By Hurricane Irma became the strongest Atlantic hurricane sinceIrma was a longlived Cape Verde hurricane that reached category 5 intensity on the SaffirSimpson Hurricane Wind Scale The catastrophic hurricane made seven landfalls, four of which occurred as a category 5 hurricane across the northern Caribbean Islands Irma made landfall as a category 4 hurricane in the Florida Keys and struck southwesternSep 05, 17 · Hurricane Irma lost strength as it swept across Florida, and was downgraded to a tropical storm on Monday morning All times on the maps are Eastern Tropicalstormforce winds range from 39 to 73



Hurricane Irma Winds Down Leaving A Trail Of Destruction And Broken Records


Hurricane Irma Kills 3 In Caribbean Islands Heads Toward Puerto Rico
Hurricane Irma Images Published on September 07, 17 1100 AM and last updated on September 12, 17 0437 PMCommons Irma images Hurricane Irma was an extremely powerful Cape Verde hurricane that caused widespread destruction across its path in September 17 Irma was the first Category 5 hurricane to strike the Leeward Islands on record, followed by Maria two weeks later At the time, it was considered as the most powerful hurricane on record inOct 06, 17 · New high angle oblique photos of portions of Florida's beaches taken before and after Hurricane Irma made landfall and swept up the state show the impact of the hurricane's storm surge and waves These NOAA images document changes to the coast after the storm, helping the USGS finetune its coastal change forecasting model



Detailed Meteorological Summary On Hurricane Irma



Hurricane Irma Massive Storm Bears Down On Florida c News
Sep 12, 17 · It Looks Like a 'War Zone' The Most Devastating Pictures from Hurricane Irma Destruction in the Florida Keys Hurricane Irma has caused at least 11 deaths and left about 67 million people withoutRoof and walls were torn off Hurricane Irma was an extremely powerful and catastrophic Cape Verde type hurricane and the most intense observed in the Atlantic since 07 It was the first major hurricane to make landfall in Florida since Wilma in 05 Shot taken by Canon 5D Mark lV 17 hurricane irma stock pictures, royaltyfree photos & imagesSep 08, 17 · Damage in Orient Bay on the French Carribean island of SaintMartin, after the passage of Hurricane Irma, Sept 7, 17 Lionel Chamoiseau / AFP Getty Images Sept 7, 17, 755 PM UTC / Updated



Hurricane Irma Wikipedia



Breaking Down Hurricane Irma By The Numbers Architectural Digest
Ask questions, get advice, meet a great group of people passionate about everything St Barts Vacation reviews, villas, hotels, restaurants, transportation, advice & informationDec 15, · See images of the Florida Keys after Hurricane Irma struck on Sept 10, 17 as a major hurricane The storm, which was originally on a path over Key West, made landfall around Marathon Key TheSep 08, 17 · The NOAA satellite GOES16 captured this geocolor image of Hurricane Irma passing the eastern end of Cuba at about 800 am EDT on Sept 8, 17 Forecasters say the eye of Irma should move near the north coast of Cuba and the central Bahamas on Friday, Sept 8 and Saturday, Sept 9, and be near the Florida Keys and the southern Florida Peninsula Sunday



Hurricane Irma Strengthens To Category 5 As 2nd Storm Forms Behind It Abc News



Hurricane Irma Batters Southeast As A Tropical Storm Teen Vogue
Sep 10, 17 · Brian Blanco/Getty Images In the aftermath of Hurricane Irma, a house slides into the Atlantic Ocean in Ponte Vedra Beach, Florida, on Monday, September 11 Gary Lloyd McCullough/The FloridaBrowse 9,1 hurricane irma stock photos and images available, or search for hurricane irma florida or hurricane harvey to find more great stock photos and pictures Debris from damaged homes lines a street on the nearly destroyed island of Barbuda on December 8,



Hurricane Irma Is A Mighty Storm But Where Is It Heading Weather Underground
:strip_exif(true):strip_icc(true):no_upscale(true):quality(65):fill(FFF)/arc-anglerfish-arc2-prod-gmg.s3.amazonaws.com/public/2VNOT27ZRVH33AUVURRGMALSHY.jpg)


One Year Later 16 Harrowing Photos From Hurricane Irma
/hurricane-irma-facts-timeline-damage-costs-4150395-FINAL2-959ccdd3225342cba982d3837cddf322.png)


Hurricane Irma Facts Timeline Damage And Costs



Hot Water Ahead For Hurricane Irma



6 Questions About Hurricane Irma Climate Change And Harvey Inside Climate News



Hurricane Irma All The Records The Storm Has Broken



Why Sarasota Lucked Out With Hurricane Irma Sarasota Magazine



Hurricane Irma One Of The Most Powerful In History Roars Across Caribbean The New York Times



How Hurricane Irma Became A Monster Storm Live Science


Florida Keys Devastated By Hurricane Irma Reuters Com



Hurricane Irma Taught Sarasota Area Residents A Lot Sarasota Your Observer



Hurricane Irma Local Report Summary



Hurricane Irma One Year Later Redzone One Year Later



Hurricane Irma Looms But It S Too Early To Predict Landfall The New York Times



Hurricane Irma Cnn



Hurricane Irma This Is Why It Was So Destructive



Florida Horse Owners Brace For Hurricane Irma The Horse


1


Hurricanes Science And Society 17 Hurricane Irma



Hurricane Irma Slams Caribbean Islands As Two Other Hurricanes Churn In Atlantic Marketwatch
/cdn.vox-cdn.com/uploads/chorus_image/image/56569433/irma.a2017249.1745.1km.0.jpg)


Hurricane Irma How The Storm Got So Big Intense And Scary Vox



Un Supporting National Relief Efforts As Hurricane Irma Threatens Nearly 50 Million People Un News



Hurricane Irma How Good Were The Forecasts Live Science



Hurricane Irma Pummels Florida This One Scares Me
:strip_exif(true):strip_icc(true):no_upscale(true):quality(65):fill(FFF)/arc-anglerfish-arc2-prod-gmg.s3.amazonaws.com/public/W7E33TZ67JES7M447DEH3WTAVA.jpg)


Hurricane Irma Track Models Satellite Storm Updates


Hurricane Irma Hits First Islands Retains Strength And Course That Could Include South Florida South Florida Sun Sentinel South Florida Sun Sentinel



Meteorological History Of Hurricane Irma Wikipedia



Globalgiving Hurricane Irma Assistance



17 Hurricane Irma


One Year After Hurricane Irma How Data Helped Track The Storm Noaa National Environmental Satellite Data And Information Service Nesdis



Hurricane Irma Timeline Of Monster Storm



How Hurricane Irma Became So Enormously Powerful Cbc News



Hurricane Irma Crashes Across Northern Cuba The Atlantic



Hurricane Irma S Path Abc News



Hurricane Irma The Lasting Effects On People And Properties



Hurricane Irma Death Toll At 69 Florida Power Outage At 6 8 Million People Cbs News


Hurricane Irma Set Records For Storm Size And Intensity



Hurricane Irma An Extreme Storm Surge Threat To The U S And Bahamas Weather Underground


Q Tbn And9gcqqi68a7lfkd J Qqxfdytjmtg Hcovb2f Zlwf4lfxkxazykp Usqp Cau



Florida Braces For Potentially Catastrophic Hurricane Irma



Media Reaction Hurricane Irma And Climate Change Carbon Brief


1



Irma Update Hurricane Pushes Toward Puerto Rico With Florida In Its Sights The Two Way Npr



Hurricane Irma Dredged Up Aob Issues In Florida Are Changes Ahead Verisk Analytics


Hurricane Irma 17 Photos Of Damage In The Caribbean



Hurricane Irma After Action Report Naples Florida



Hurricane Irma Path Toward Florida Live Updates 9 Sep 17 Cbs News



Detailed Meteorological Summary On Hurricane Irma



Hurricane Irma Reaches Category 5 With Winds Of 180 Mph Youtube



Hurricane Irma S Staggering Power In Numbers Pbs Newshour



Hurricane Irma Hits Florida With Category 4 Strength Time



Some Survivors Of Category 5 Hurricane Irma Want A Category 6 Npr



Caribbean Braces For Impact As Hurricane Irma Nears



Hurricane Irma Brings Issues Of Poverty In Miami Into Stark Relief Marketplace



Hurricane Irma Recap The Weather Channel Articles From The Weather Channel Weather Com



Jacksonville Is Still Recovering One Year After Hurricane Irma Wjct News



What You Need To Know About Filing A Hurricane Irma Insurance Claim Brill Rinaldi The Law Firm



Powerful Hurricane Irma Bears Down On Caribbean Islands



Hurricanes Irma And Jose Rumble Through The Caribbean Wsj


Hurricane Irma Timeline Of Monster Storm



Hurricane Irma Caused Sizable Damage In Naples Drone Footage Shows Abc News



Hurricane Irma Strikes Florida


Hurricane Irma Where Is The Storm Now And Where Is It Headed Next


1



3 Things We Know About Hurricane Irma Scientific American



Hurricane Irma One Year Later In Naples Florida



Two Years Later Remembering Hurricane Irma



How Hurricane Irma Became So Huge And Destructive The New York Times



Hurricane Irma To Regain Category 5 Strength Forecasters Say Cnn



One Surprising Way Hurricane Irma Could Affect The U S Beyond Florida Marketwatch



Hurricane Irma Strikes Florida



Hurricane Irma Local Report Summary



What Caused Hurricane Irma Did Climate Change Cause This Category 5 Tropical Storm The Independent The Independent


Hurricane Irma Photos Damage In Caribbean Will Take Years Of Recovery



Effects Of Hurricane Irma In Florida Wikipedia



Just How Strong Is Hurricane Irma Scientific American



Hurricane Irma Path 17 Live Updates For Puerto Rico Florida And Southeast U S Washington Post
:strip_exif(true):strip_icc(true):no_upscale(true):quality(65)/arc-anglerfish-arc2-prod-gmg.s3.amazonaws.com/public/LKU7VLLK5JEQPCICLTETRTDFTA.png)


Hurricane Irma Downgraded To Category 2 Storm Once Again



Getting Through Hurricane Irma With Gratitude And Relief The New Yorker



Hurricane Irma Live Tracking Youtube



Hurricane Irma Strengthens To Category 4 Near Florida Keys Voice Of America English



Satellite Animation Sees Category 4 Hurricane Irma Approach South Florida Youtube



Why This Hurricane Season Has Been So Catastrophic



Managing A Crisis With Adhd Hurricane Irma Story
0 件のコメント:
コメントを投稿